北京进深 徐迪 11月24日,丰台新宫板块的京投森与天成设计方案调整。
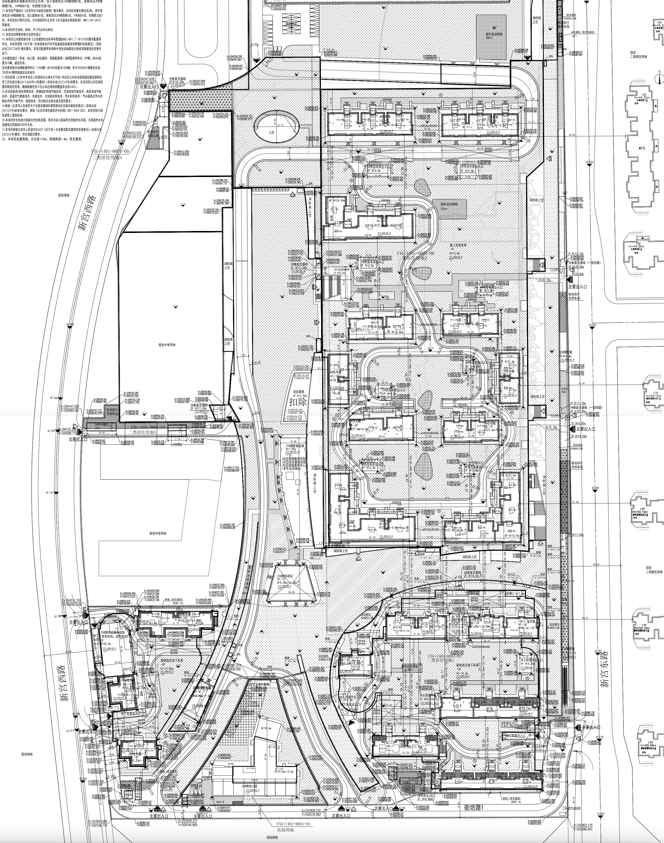
项目所在丰台区地铁十九号线新宫车辆段0601-03等地块,曾于2023年取得《建设工程规划许可证》,建设单位为北京京投隆德置业有限公司。
近日,建设单位申请变更该项目S1#楼配套、S2#楼配套、盖上夹层车库出入口等内容。
其余建设内容仍以原规划许可为准。
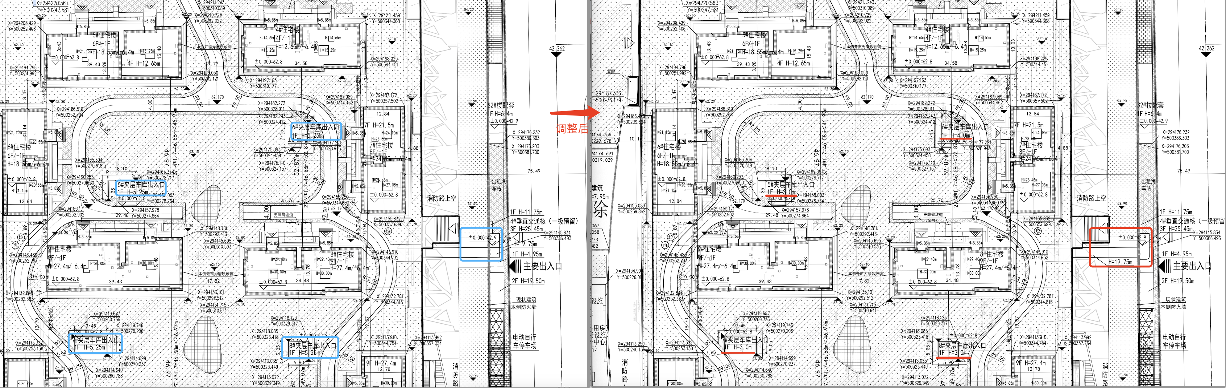
①原夹层车库出入口高度统一为5.25米,调整后:
1#、2#、6#口高度为4米;
3#、4#、5#、7#、8#口高度为3米。
②两栋东侧配套楼建筑高度微调。
原S1#楼配套靠近出入口位置的建筑,为直角转角,南侧建筑高度统一为20.15米;
调整后为弧型转角,且做了错层设计,沿街面调整到25.85米,南侧仍为20.15米。
南边的S2#楼配套也做了同样的设计调整,沿街面高度为24.45米,南侧为19.75米。

调整后项目规划设计方案总平面图↓
森与天成所在地块,由京投公司+京投置地联合体2023年6月20日摘得,成交价50亿元。
项目位于19号线与4号线双轨交会处,为丰台新宫地铁站上盖社区。
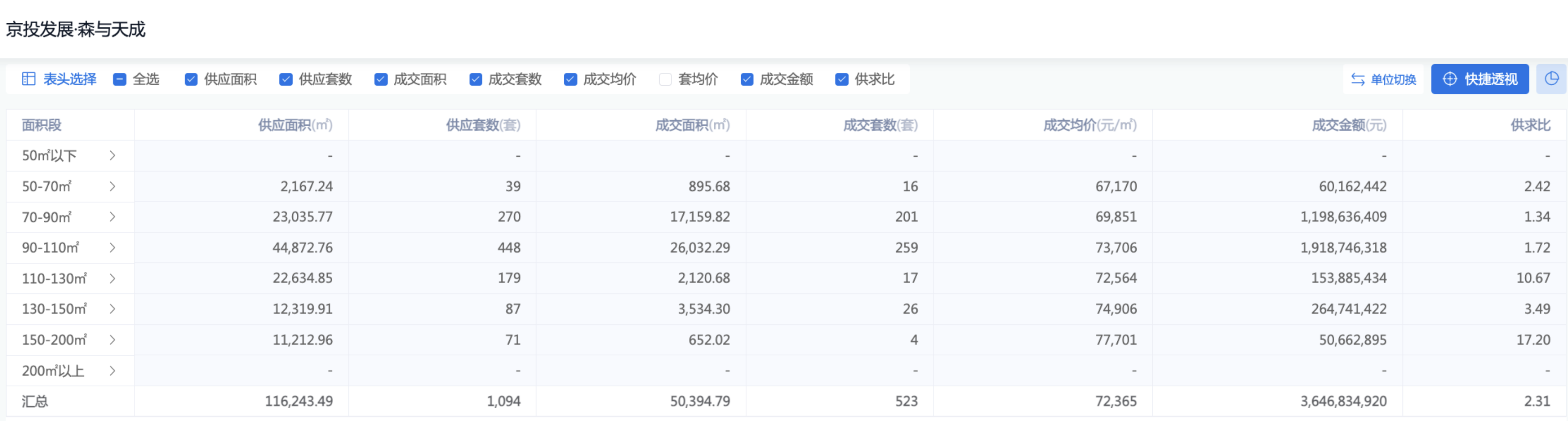
总建面21.5万㎡,容积率1.04,规划建设20栋住宅楼,房源总数1094套。
小区体量较大,预设的客群目标也比较广泛,从首置、首改到改善全覆盖。
面积段为76-160㎡二至四居,销售指导价为8.3万元/㎡。
2023年11月开盘,目前累计网签523套,去化近半。
成交均价7.24万/㎡,约为指导价87折。
网签金额合计36.47亿元,地价覆盖率73%。

产品上,森与天成90-110㎡面积段为绝对主力,共448套,占比超四成;
此外是70-90㎡建面,270套,户型占比约25%。
目前成交房源也以这两个面积段为主,网签套数占比近九成。
110-130㎡户型总计有180套供应,但目前仅有17套成交;
而150㎡以上纯改善型产品,仅成交4套。
新宫板块聚集了大量的安置房,在4号线开通后,吸引了不少沿线刚需客群的流入,300-500万区间的新房产品在新宫一度卖得非常火爆。
周边竞品主要是建发金茂观宸,两个项目一街之隔,直线距离500米。
配套基本相同,森与天成离地铁更近,观宸楼下就是万达广场。
但前后相差一年多入市,中间出了个“好房子”新规,两个项目在产品设计上对比明显。
同样指导价的前提下,森与天成大户型房源去化或将面临更大压力,预计后续成交价格仍有调整空间。

森与天成109㎡做了三居两卫户型,而观宸借助阳台和设备平台的扩展面积,在113㎡建面内做出了四叶草户型。
户型比例来看,森与天成109㎡户型狭长,进深、面宽接近2:1;而观宸更为方正,进深、面宽接近1:1。
这使得两个项目在面积段差不多的情况下,户型格局完全不同。
观宸做到了南向三开间,入户感开阔,且南北通透性更好,每个卧室都能达到舒适面积,没有那种凑房间数的“小笼屋”。

森与天成项目开发主体北京京投隆德置业有限公司成立于2023年,注册资本1亿元。
法定代表人、董事长为刘赫轩;总经理为许子建;营销负责人为盛男。
公司由北京京投置地房地产有限公司、北京市基础设施投资有限公司分别持股60%和40%。
前者为京投发展(600683.SH)全资子公司,后者为京投发展的第一大股东。
2025年前三季度,京投发展实现营业总收入5.55亿元,同比下降50.74%;归母净利润亏损3.74亿元,较上年同期亏损规模大幅减少;
经营活动产生的现金流量净额为2.59亿元,上年同期为-76.66亿元。
>>>查看更多:股市要闻